设为首页
收藏桐网
开启辅助访问
用户名
Email
自动登录
找回密码
密码
登录
我要注册
只需一步,快速开始
快捷导航
桐城网
桐城网
论坛
桐城网 - 桐城市民论坛
淘帖
精彩好帖汇编
直播桐城
积分商城
桐网积分兑换商品
桐城招聘
桐城招聘网
房屋租售
桐城房产交易-桐城买房-桐城卖房-房屋出租-二手房交易
实名认证
新闻
观察
桐城新闻
民生在线
生活
休闲
求职招聘
吃喝玩乐
爱车一族
婚庆
健康养生
房屋租售
商企展播
花鸟鱼宠
家装
亲子家园
桐油
交流
缘分天空
健身运动
摄影
同乡会
原创文学
民间文艺
活动
车友会
印象
桐城
桐城派
黄梅戏
名人桐城
桐城特产
乡镇
桐城歌
教 育
旅游景点
民俗风情
故事
《桐城网关于保护公民个人隐私的公开承诺》,积极倡导全社会支持保护个人隐私的行动,共同维护网络健康环境。
搜索
搜索
热搜:
桐城派
戴名世
桐城历史人物
潮涌龙眠
桐城网20年
本版
用户
桐城网
»
论坛
›
关注桐城
›
桐城在线
›
选址及方案公示!桐城市区将建8处生态型临时停车场!
返回列表
查看:
6493
|
回复:
0
[桐城崛起]
选址及方案公示!桐城市区将建8处生态型临时停车场!
[复制链接]
大神不是神
大神不是神
当前离线
UID
135831
积分
1804
威望
12
桐币
57
激情
6825
金币
0
在线时间
487 小时
注册时间
2016-7-15
IP卡
狗仔卡
980
主题
337
回帖
1804
积分
实名认证会员
积分
1804
收听TA
发消息
鲜花(
3
)
鸡蛋(
0
)
发表于 2018-10-13 09:36:53
|
显示全部楼层
|
阅读模式
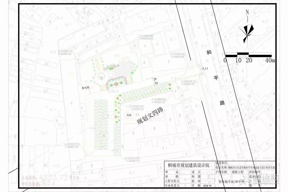
为创建文明城市需要,切实解决城区停车难问题,现对城区闲置土地进行摸排,规划建设临时停车场8处,分别为:
盛唐南路东侧(盛景花园)规划停车位69个,占地面积4353.06㎡;龙眠西路西北侧(卫校东)规划停车位17个,占地面积1027.21㎡;龙眠中路北侧(原物资大楼北)规划停车位26个,占地面积981.47㎡;文城东路东侧(玫瑰园南)规划停车位44个,占地面积1615.01㎡;昌平路东侧(昌平路与文渊路交口东)规划停车位21个,占地面积1130.94㎡;和平路西侧(原木材公司院内)规划停车位57个,占地面积4333.72㎡;龙城路西侧(烈士林园东)规划停车位31个,占地面积1398.22㎡;南山路桥下规划停车位94个,占地面积4146.40㎡。
为充分尊重公众对规划的知情权和参与权,做到阳光规划、科学规划,依据《中华人民共和国城乡规划法》、《中华人民共和国行政许可法》及住建部《关于城乡规划公开公示的规定》等法律法规的要求,现将桐城市市区生态型临时停车场选址方案予以公示。欢迎社会公众在公示期间通过来访、来电、来信对该规划提出合理的意见和建议。
公示方式:市政府网、市民论坛、市城乡规划局网站(登录桐城市人民政府网本市部门市规划局)、项目现场。
公示期限:2018年10月12日至2018年10月22日
联系地址:同康路二水厂办公楼三楼桐城市城乡规划局规划科、桐城市政务中心规划局窗口
联系电话:0556-6869572、0556-6966089
2018年10月12日
来源:市规划局
【分享精彩·网聚未来】 我骄傲,我是桐城人! 桐城网宗旨:弘扬主旋律,讴歌真善美,传播正能量,彰显精气神。
回复
鲜花(
3
)
鸡蛋(
0
)
使用道具
举报
提升卡
置顶卡
沉默卡
喧嚣卡
变色卡
千斤顶
显身卡
返回列表
高级模式
B
Color
Image
Link
Quote
Code
Smilies
您需要登录后才可以回帖
登录
|
我要注册
本版积分规则
发表回复
回帖并转播
回帖后跳转到最后一页
Copyright © 1999-2023
桐城网 · 论坛
(http://bbs.itongcheng.cc) 版权所有 All Rights Reserved.
Powered by
Discuz!
X3.4
Licensed
皖ICP备14018241号-2
皖公网安备 34088102000114号
法律顾问:
尹斌、耿仁飞律师
网站咨询(信息举报):0556-6080123 微信公众号:wwwtongcheng
快速回复
返回顶部
返回列表