设为首页
收藏桐网
开启辅助访问
用户名
Email
自动登录
找回密码
密码
登录
我要注册
只需一步,快速开始
快捷导航
桐城网
桐城网
论坛
桐城网 - 桐城市民论坛
淘帖
精彩好帖汇编
直播桐城
积分商城
桐网积分兑换商品
桐城招聘
桐城招聘网
房屋租售
桐城房产交易-桐城买房-桐城卖房-房屋出租-二手房交易
实名认证
新闻
观察
桐城新闻
民生在线
生活
休闲
求职招聘
吃喝玩乐
爱车一族
婚庆
健康养生
房屋租售
商企展播
花鸟鱼宠
家装
亲子家园
桐油
交流
缘分天空
健身运动
摄影
同乡会
原创文学
民间文艺
活动
车友会
印象
桐城
桐城派
黄梅戏
名人桐城
桐城特产
乡镇
桐城歌
教 育
旅游景点
民俗风情
故事
《桐城网关于保护公民个人隐私的公开承诺》,积极倡导全社会支持保护个人隐私的行动,共同维护网络健康环境。
搜索
搜索
热搜:
桐城派
戴名世
桐城历史人物
潮涌龙眠
桐城网20年
本版
用户
桐城网
»
论坛
›
关注桐城
›
桐城在线
›
桐城市中心城区将新建九处通信基站,看看都在哪?
返回列表
查看:
11070
|
回复:
0
[第一时间]
桐城市中心城区将新建九处通信基站,看看都在哪?
[复制链接]
远方的她
远方的她
当前离线
UID
123520
积分
5065
威望
15
桐币
261
激情
15100
金币
0
在线时间
1658 小时
注册时间
2015-2-4
IP卡
狗仔卡
2407
主题
1000
回帖
5065
积分
实名认证会员
积分
5065
收听TA
发消息
鲜花(
15
)
鸡蛋(
0
)
发表于 2017-7-21 08:54:37
|
显示全部楼层
|
阅读模式
本帖最后由 远方的她 于 2017-7-21 08:56 编辑
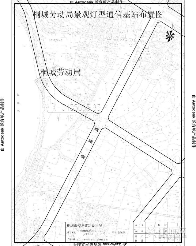
桐城市中心城区通信基站布点专项规划于2017年4月24日批准。现中国铁塔股份有限公司安庆市分公司依布点规划向我局申请建设9处通信基站,分别为
创业二路与北环路交口东北侧驾校旁;同安北路与纬二路交口东北侧家具城旁;南山路与中一路交口东南侧实验中学围墙外;沿河东路垃圾转运站旁;同安南路桐城文达建司楼前绿化分隔带中;文昌大道与同安南路交口三角岛中;同康路与桐潜路交口南幸福家园北绿化分隔带中;文三路与西二路交口东北侧;昌平路与文一路交口东北侧二中体育场围墙外
(具体位置见附图)。为充分尊重公众对规划的知情权和参与权,做到阳光规划和科学规划,根据相关法律规定现予以公示,周边单位及住户如对此方案有异议,请自公示之日起十日内(2017年7月20日至2017年7月29日)以书面形式函告市城乡规划局,我局将在公示期满后综合分析各单位和住户的意见,并按有关技术规范和规定给予审批。
联系地址(电话):
桐城市规划局行政许可科(0556-6966089);
桐城市规划局规划科(0556-6869572)。
公示地点:项目现场、桐城市政府网站、桐城城乡规划局网站
2017年7月20日
通信基站,又名无线基站,是指与用户手机进行通信的低功率无线天线,根据其服务范围大小及用户多少,发射功率从几瓦到上百瓦不等。一般情况下,基站天线被安装在离地面15-50米的建筑物或发射塔上。
通信基站,即公用移动通信基站是无线电台站的一种形式,是指在有限的无线电覆盖区中,通过移动通信交换中心,与移动电话终端之间进行信息传递的无线电收发信电台。基站是移动通信中组成蜂窝小区的基本单元,完成移动通信网和移动通信用户之间的通信和管理功能。
推荐导读
相关帖子
•
纪念钱学森归国65周年暨桐城中学“钱学森班”揭牌仪式
•
投子山休闲小站,该拆不该拆?
•
关于吴某等人涉嫌组织领导传销犯罪的通告
•
桐城入选全国文明城市【安徽9市(县)】
•
桐城人汪清获得“全国劳动模范”光荣称号
•
致桐城市广大人民群众的一封信
•
他受到国家表彰,桐城人雷澍!
•
“遇见生活,感恩有你” 东芝空调观影会
•
安徽师范大学附属桐城学校校长来桐上任履职
•
“质量强市”成效突出!桐城获省政府表彰
•
石桥湾农业科技生态园项目破土动工
•
国务院正式批复!桐城市列为国家历史文化名城
•
桐城首个“全国文明村”在双溪村揭牌
•
桐城市博物馆招聘讲解员公告
•
国网桐城市供电公司2023年4月停电信息预告(本月陆续更新)
•
桐城中学知名校友胡阿祥做客半山阁讲坛
【分享精彩·网聚未来】 我骄傲,我是桐城人! 桐城网宗旨:弘扬主旋律,讴歌真善美,传播正能量,彰显精气神。
回复
鲜花(
15
)
鸡蛋(
0
)
使用道具
举报
提升卡
置顶卡
沉默卡
喧嚣卡
变色卡
千斤顶
显身卡
返回列表
高级模式
B
Color
Image
Link
Quote
Code
Smilies
您需要登录后才可以回帖
登录
|
我要注册
本版积分规则
发表回复
回帖并转播
回帖后跳转到最后一页
浏览过的版块
桐油侃吧
Copyright © 1999-2023
桐城网 · 论坛
(http://bbs.itongcheng.cc) 版权所有 All Rights Reserved.
Powered by
Discuz!
X3.4
Licensed
皖ICP备14018241号-2
皖公网安备 34088102000114号
法律顾问:
尹斌、耿仁飞律师
网站咨询(信息举报):0556-6080123 微信公众号:wwwtongcheng
快速回复
返回顶部
返回列表